START (HOME) WYKAZ GATUNKÓW (CHECKLIST) IKONOGRAFIA (ICONOGRAPHY) ROZMIESZCZENIE (DISTRIBUTION) PROGRAMY (TOOLS) PI¦MIENNICTWO (LITERATURE) METODYKA (METHODS) LINKI (LINKS) O PROJEKCIE (ABOUT) PLUSKWIAKI ¦WIATA (TRUE BUGS OF THE WORLD)
IKONOGRAFIA (ICONOGRAPHY)
Acanthosomatidae Alydidae Anthocoridae Aphelocheiridae Aradidae Artheneidae Berytidae Blissidae Ceratocombidae Cimicidae Coreidae Corixidae Cydnidae Cymidae Dipsocoridae Geocoridae Gerridae Hebridae Heterogastridae Hydrometridae Leptopodidae Lyctocoridae Lygaeidae Mesoveliidae Microphysidae Miridae Nabidae Naucoridae Nepidae Notonectidae Oxycarenidae Pentatomidae Piesmatidae Plataspidae Pleidae Pyrrhocoridae Reduviidae Rhopalidae Rhyparochromidae Saldidae Scutelleridae Stenocephalidae Tingidae Veliidae
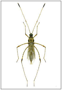
Rodzina Berytidae
Berytinus clavipes
Berytinus crassipes
Berytinus hirticornis
Berytinus minor
Berytinus signoreti
Gampsocoris culicinus
Gampsocoris punctipes
Metatropis rufescens
Neides tipularius
Copyright: Grzegorz Gierlasiński. 2013-2026. Licznik odsłon: 0