START (HOME) WYKAZ GATUNKÓW (CHECKLIST) IKONOGRAFIA (ICONOGRAPHY) ROZMIESZCZENIE (DISTRIBUTION) PROGRAMY (TOOLS) PI¦MIENNICTWO (LITERATURE) METODYKA (METHODS) LINKI (LINKS) O PROJEKCIE (ABOUT) PLUSKWIAKI ¦WIATA (TRUE BUGS OF THE WORLD)
IKONOGRAFIA (ICONOGRAPHY)
Acanthosomatidae Alydidae Anthocoridae Aphelocheiridae Aradidae Artheneidae Berytidae Blissidae Ceratocombidae Cimicidae Coreidae Corixidae Cydnidae Cymidae Dipsocoridae Geocoridae Gerridae Hebridae Heterogastridae Hydrometridae Leptopodidae Lyctocoridae Lygaeidae Mesoveliidae Microphysidae Miridae Nabidae Naucoridae Nepidae Notonectidae Oxycarenidae Pentatomidae Piesmatidae Plataspidae Pleidae Pyrrhocoridae Reduviidae Rhopalidae Rhyparochromidae Saldidae Scutelleridae Stenocephalidae Tingidae Veliidae
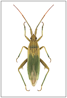
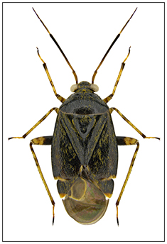
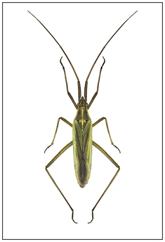
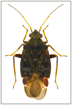
Rodzina Miridae
Acetropis carinata
Acetropis gimmerthalii
Acetropis longirostris
Actinonotus pulcher
Adelphocoris detritus
Adelphocoris josifovi
Adelphocoris lineolatus
Adelphocoris quadripunctatus
Adelphocoris reichelii
Adelphocoris seticornis
Adelphocoris ticinensis
Adelphocoris vandalicus
Agnocoris reclairei
Agnocoris rubicundus
Alloeonotus fulvipes
Alloeotomus germanicus
Alloeotomus gothicus
Amblytylus albidus
Amblytylus nasutus
Apolygus limbatus
Apolygus lucorum
Apolygus rhamnicola
Apolygus spinolae
Asciodema obsoletum
Atractotomus kolenatti
Atractotomus magnicornis
Atractotomus mali
Blepharidopterus angulatus
Blepharidopterus diaphanus
Bothynotus pilosus
Brachyarthrum limitatum
Brachycoleus decolor
Brachycoleus pilicornis
Bryocoris pteridis
Calocoris affinis
Calocoris alpestris
Calocoris roseomaculatus
Camptozygum aequale
Campylomma annulicorne
Campylomma verbasci
Campyloneura virgula
Capsodes gothicus
Capsus ater
Capsus pilifer
Capsus wagneri
Charagochilus gyllenhalii
Charagochilus spiralifer
Charagochilus weberi
Chlamydatus evanescens
Chlamydatus pulicarius
Chlamydatus pullus
Chlamydatus saltitans
Closterotomus biclavatus
Closterotomus fulvomaculatus
Closterotomus norwegicus
Compsidolon salicellum
Conostethus roseus
Cremnocephalus albolineatus
Cremnocephalus alpestris
Criocoris crassicornis
Criocoris nigripes
Criocoris quadrimaculatus
Cyllecoris histrionius
Cyrtorhinus caricis
Deraeocoris annulipes
Deraeocoris flavilinea
Deraeocoris lutescens
Deraeocoris olivaceus
Deraeocoris punctulatus
Deraeocoris ruber
Deraeocoris scutellaris
Deraeocoris trifasciatus
Deraeocoris ventralis
Dichrooscytus gustavi
Dichrooscytus intermedius
Dichrooscytus rufipennis
Dicyphus annulatus
Dicyphus constrictus
Dicyphus epilobii
Dicyphus errans
Dicyphus globulifer
Dicyphus pallicornis
Dicyphus pallidus
Dicyphus stachydis
Dryophilocoris flavoquadrimaculatus
Europiella albipennis
Europiella alpina
Europiella artemisiae
Eurycolpus flaveolus
Euryopicoris nitidus
Globiceps flavomaculatus
Globiceps fulvicollis
Globiceps juniperi
Globiceps sordidus
Globiceps sphaegiformis
Grypocoris sexguttatus
Hallodapus montandoni
Hallodapus rufescens
Halticus apterus
Halticus luteicollis
Halticus pusillus
Halticus saltator
Harpocera thoracica
Heterocapillus tigripes
Heterocordylus erythrophtalmus
Heterocordylus genistae
Heterocordylus leptocerus
Heterocordylus tibialis
Heterocordylus tumidicornis
Heterotoma merioptera
Heterotoma planicornis
Hoplomachus thunbergii
Horistus orientalis
Hypseloecus visci
Isometopus intrusus
Leptopterna dolabrata
Leptopterna ferrugata
Liocoris tripustulatus
Lopus decolor
Lygocoris pabulinus
Lygocoris rugicollis
Lygus gemellatus
Lygus pratensis
Lygus punctatus
Lygus rugulipennis
Lygus wagneri
Macrolophus pygmaeus
Macrolophus rubi
Macrotylus herrichi
Macrotylus horvathi
Macrotylus paykullii
Macrotylus quadrilineatus
Macrotylus solitarius
Malacocoris chlorizans
Mecomma ambulans
Megacoelum beckeri
Megacoelum infusum
Megaloceroea recticornis
Megalocoleus exsanguis
Megalocoleus molliculus
Megalocoleus tanaceti
Mermitelocerus schmidtii
Miris striatus
Monalocoris filicis
Monosynamma bohemanni
Monosynamma sabulicola
Myrmecophyes alboornatus
Myrmecoris gracilis
Neolygus contaminatus
Neolygus viridis
Notostira elongata
Notostira erratica
Odontoplatys bidentulus
Oncotylus punctipes
Oncotylus viridiflavus
Orthocephalus bivittatus
Orthocephalus brevis
Orthocephalus coriaceus
Orthocephalus saltator
Orthocephalus vittipennis
Orthonotus rufifrons
Orthops basalis
Orthops campestris
Orthops kalmii
Orthops montanus
Orthotylus adenocarpi
Orthotylus bilineatus
Orthotylus concolor
Orthotylus ericetorum
Orthotylus flavinervis
Orthotylus flavosparsus
Orthotylus fuscescens
Orthotylus interpositus
Orthotylus marginalis
Orthotylus nassatus
Orthotylus prasinus
Orthotylus tenellus
Orthotylus virens
Orthotylus virescens
Orthotylus viridinervis
Pachytomella parallela
Pantilius tunicatus
Parapsallus vitellinus
Phoenicocoris dissimilis
Phoenicocoris modestus
Phoenicocoris obscurellus
Phylus coryli
Phylus melanocephalus
Phylus plagiatus
Phytocoris confusus
Phytocoris dimidiatus
Phytocoris insignis
Phytocoris intricatus
Phytocoris jordani
Phytocoris longipennis
Phytocoris nowickyi
Phytocoris pini
Phytocoris populi
Phytocoris reuteri
Phytocoris tiliae
Phytocoris ulmi
Phytocoris varipes
Piezocranum simulans
Pilophorus cinnamopterus
Pilophorus clavatus
Pilophorus confusus
Pilophorus perplexus
Pinalitus atomarius
Pinalitus cervinus
Pinalitus rubricatus
Pinalitus viscicola
Pithanus maerkelii
Placochilus seladonicus
Plagiognathus arbustorum
Plagiognathus bipunctatus
Plagiognathus chrysanthemi
Plagiognathus fulvipennis
Plesiodema pinetella
Polymerus asperulae
Polymerus brevicornis
Polymerus carpathicus
Polymerus cognatus
Polymerus holosericeus
Polymerus microphthalmus
Polymerus nigrita
Polymerus palustris
Polymerus unifasciatus
Polymerus vulneratus
Psallus albicinctus
Psallus ambiguus
Psallus assimilis
Psallus betuleti
Psallus confusus
Psallus falleni
Psallus flavellus
Psallus haematodes
Psallus lapponicus
Psallus lepidus
Psallus luridus
Psallus mollis
Psallus montanus
Psallus perrisi
Psallus piceae
Psallus pinicola
Psallus pseudoplatani
Psallus quercus
Psallus salicis
Psallus variabilis
Psallus varians
Psallus vittatus
Psallus wagneri
Pseudoloxops coccineus
Reuteria marqueti
Rhabdomiris striatellus
Salicarus roseri
Stenodema calcarata
Stenodema holsata
Stenodema laevigata
Stenodema pilosa
Stenodema sericans
Stenodema virens
Stenotus binotatus
Sthenarus rotermundi
Strongylocoris leucocephalus
Strongylocoris luridus
Strongylocoris niger
Strongylocoris steganoides
Systellonotus triguttatus
Teratocoris antennatus
Teratocoris paludum
Teratocoris saundersi
Tinicephalus hortulanus
Trigonotylus caelestialium
Trigonotylus psammaecolor
Trigonotylus pulchellus
Trigonotylus ruficornis
Tupiocoris rhododendri
Tuponia prasina
Tytthus pygmaeus
Copyright: Grzegorz Gierlasiński. 2013-2026. Licznik odsłon: 0